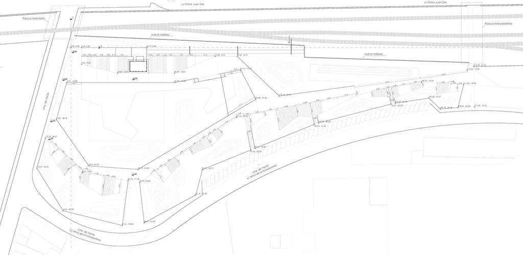
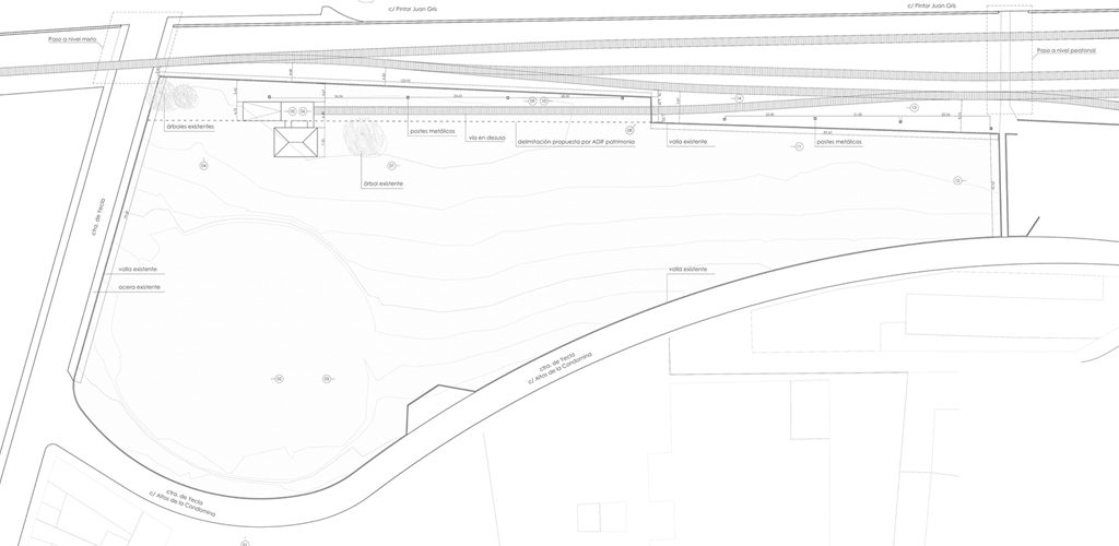
PARQUE DE LA CONDOMINA
Parque de la Condomina, situado en la ciudad de Villena.
Arquitecto director: Antonio Martínez Hernández
Arquitecto colaborador: Juan Eloy Gil García.
Superficie intervenida: 14.700 m2
Presupuesto: 696.780 euros
Año: 2017
Proyecto